Kawasan Perindustrian MIEL Masjid Tanah, Melaka
Kawasan Perindustrian MIEL, Masjid Tanah, Melaka
RM 4,800 /bulan
1
BM
1,400
kps (lantai)
Sedia untuk Dimasuki Kilang
Tentang hartanah ini
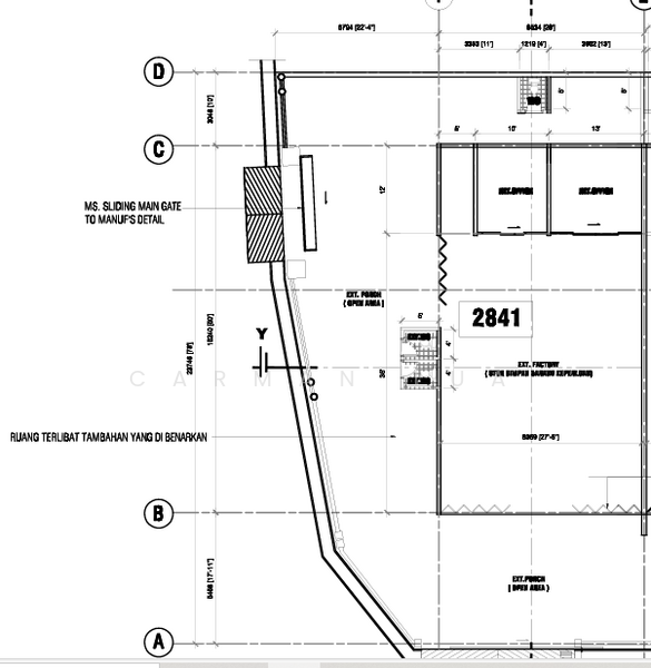
Corner lot , Masjid Tanah single Factory, warehouse
nearby family store Masjid Tanah
Single Storey Factory (corner lot)
non bumi lot
leasehold unitl 2091 years(left 65 y)
Land size :3595 ft ( 50x 67ft)
Build up: 1400ft ( 28 ft x50ft)
with office space
Electricity amp : 60amp
Ceiling height : 27' - 28'
suitable for warehouse, retail shop etc.
Selling Price : 680k
Fo rent : RM4800
min 1 year contract
deposit 2+1
Kemudahan bersama
Parkir
Kawasan Perindustrian MIEL Masjid Tanah, Melaka

Kawasan Perindustrian MIEL Masjid Tanah is a well-established industrial and factory area in Masjid Tanah, Melaka, Malaysia. Spanning 58 acres, this industrial hub is strategically positioned along Jalan Tunas Baru, with sections such as Seksyen 1/3, 1/4, and 1/5.The development was completed in 1997 under a 99-year leasehold tenure. It comprises 89 units, 40 semi-detached factories, 21 terrace/link factories, and 28 shop offices. These units support diverse business needs, ranging from small manufacturing operations to warehouse and distribution centres. The built-up areas for factories range between 2,315 sq ft and 5,530 sq ft, making them suitable for businesses of various sizes.This industrial zone is surrounded by essential amenities and residential areas, enhancing its appeal for businesses seeking proximity to workforce hubs and logistical networks.One of its most significant advantages is its strategic location in the district of Alor Gajah, Melaka. This industrial area is positioned near major highway networks, including the North-South Highway, which enhances its appeal to businesses requiring efficient logistics and distribution services.Another key benefit is the area's industrial infrastructure. The zone is designed to provide a range of factory spaces suitable for diverse business needs, including manufacturing, logistics, and warehousing. Available units include duplexes and larger factory spaces with varying built-up areas, allowing businesses to choose the size that best fits their operations.The area also offers stable rental income due to Malaysia's continuous demand for industrial spaces, making it an excellent and ideal choice for investors and entrepreneurs seeking long-term investment opportunities.Kawasan Perindustrian MIEL Masjid Tanah is a prime industrial location due to its strategic positioning, diverse industrial spaces, and stable investment potential.Kawasan Perindustrian MIEL Masjid Tanah benefits from its strategic location, offering convenient and easy access to major infrastructure. The area is situated near the North-South Highway, accessible via Alor Gajah town, which provides smooth commutes to key destinations like Melaka town.Additionally, the location is close to other industrial zones and residential areas, providing access to essential amenities that support the well-being of employees and facilitate business operations.In terms of nearby infrastructure, the area is connected to major roads and highways, facilitating easy movement of goods and personnel.Kawasan Perindustrian MIEL Masjid Tanah offers a well-connected location supporting industrial businesses' operational needs.Kawasan Perindustrian MIEL Masjid Tanah is meticulously designed to offer the essential infrastructure for industrial operations, creating a functional business environment. The area typically includes:Basic infrastructure, such as roads and utilitiesSecurity measures for industrial zonesGreen spaces in the form of landscapingPotential communal areas for industrial usageThese facilities ensure a productive environment where businesses can focus on operations efficiently.Families residing in the area benefit from proximity to several educational institutions, including:GIATMARA Masjid Tanah MelakaSK Pengkalan BalakSMK Ade PutraThese educational institutions are within reasonable commuting distances, providing educational opportunities for nearby families.Located near a diverse range of culinary delights, the area features various dining options, including:Masjid Tanah Industry Food CourtKambing Perap Masjid TanahD’Raja Cafe @ Taman Bidara PermaiKopitiam BalakRestoran Bayu SeleraThese dining establishments provide a variety of culinary experiences for those working or residing in the area.Residents and businesses have access to various medical facilities, such as:Klinik 1MALAYSIA Taman Bidara PermaiKlinik Kesihatan Masjid TanahKlinik AsuzaThese facilities ensure residents can access essential medical services within a reasonable distance.Convenience is further enhanced with supermarkets nearby, including:7-ElevenMasjid Tanah Family StoreElzan RetailsThese establishments ensure that daily necessities and larger shopping needs are met efficiently.Kawasan Perindustrian MIEL Masjid Tanah is strategically located along Jalan Tunas Baru in Melaka, specifically in the Alor Gajah and Mukim Sungei Baru districts. The development spans 58 acres and is designed to support industrial operations focusing on manufacturing, logistics, and distribution.Kawasan Perindustrian MIEL Masjid TanahIndustrial DevelopmentMelaka 40 semi-detached factories, 21 terrace/link factories, and 28 shop offices. The unit sizes range from 2,315 sq ft to 5,530 sq ft, offering flexibility for businesses of various scales.Kawasan Perindustrian MIEL Masjid Tanah offers a practical setting for businesses aspiring to establish a strong presence in Melaka’s growing industrial scene. The development's well-planned layout and mix of units suit various operational needs. The location provides businesses with a solid base for long-term growth in a connected and industrious environment.PNB Commercial Sdn Bhd oversees the development of Kawasan Perindustrian MIEL Masjid Tanah. Berhad, a subsidiary of Permodalan Nasional Berhad (PNB). The company specialises in managing commercial and industrial properties across Malaysia, leveraging its asset enhancement and real estate development expertise. It is known for its focus on delivering high-quality projects and maximising property values through strategic investment and management.A'Famosa ResortTaman Paya Rumput PerdanaTaman Ujong Padang LestariKawasan Perindustrian MIEL Masjid Tanah stands out as an opportunity for those seeking industrial space in a prime Melaka location. With its strategic connectivity, good infrastructure, and strong potential for growth, this development is an excellent choice for businesses looking for a high-quality operational base. The industrial zone offers convenience and functionality, making it an asset for logistics and distribution activities.To view available units and explore current sales listings at Kawasan Perindustrian MIEL Masjid Tanah, click here for more details and opportunities.There are also units for rental too.
Lihat butiran projek





























